Uso de drones pode auxiliar em processos judiciais
Como vemos a anos, processos judiciais a cada dia que passa só aumentam, e uma forma de facilitar o processo e até mesmo acelerar um pouco é utilizar imagens captadas por drone no processo.
Isso auxilia o juiz na hora de visualizar a área, e saber exatamente como ela está nos dias de hoje.
Em alguns casos, o juiz precisa determinar a ida de alguma empresa ou órgão afim de tirar imagens ou simplesmente pegar fotos do Google Earth, o que muitas vezes está desatualizada.
Como podemos ver nas imagens abaixo, há uma grande diferença nas imagens entre Google Earth e uma imagem de drone
A diferença nas imagens é muito grande. Por isso o drone auxilia, ao contratar o serviço de filmagens aéreas com drone, você terá imagens em alta definição e atualizadas, o que irá auxiliar na tomada de decisões dos seus processos, seja ele divisa de terras, usucapião, venda de terrenos e etc.
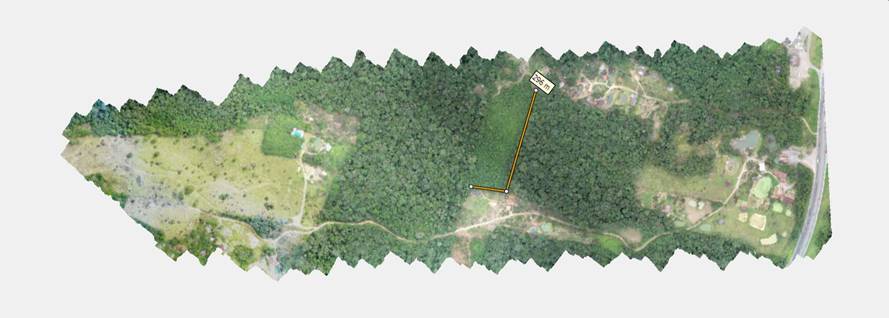
Topografia para auxiliar nas medições
Além das imagens, com o drone podemos fazer um levantamento topográfico e gerar ortomosáicos para auxiliar nas demarcações de divisas.




